$220,500
$25K PRICE DROP

0 C Acacia St Wildomar, CA 92584

Estimated payment $1,390/month

Total Views 16,789
3.3 Acres
$66,818 Price per Acre
143,748 Sq Ft Lot

Highlights

  • Panoramic View
  • No HOA
  • Rectangular Lot
  • 3.3 Acre Lot

About This Lot

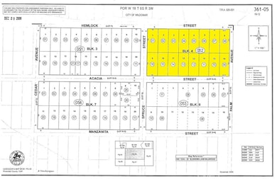
Offering a collection of 16 contiguous lots adding up to 3.3 Acres in the growing city of Wildomar, in Riverside County. Located north of the 15 Freeway and Cottonwood Canyon Road, bordered by Acacia St., Hemlock St., Spruce St., Palm Ave. Power is nearby, the topography varies from flat to rolling, offering scenic views and flexible development potential. Short drive to I-15, I-215, and Hwy 74, Proximity to Loma Linda University Medical Center, Mt. San Jacinto College, shopping centers, and schools. Located near Canyon Lake, Menifee, and Lake Elsinore. Whether you’re looking to develop one home or invest in multiple parcels, this is an excellent opportunity in one of Southern California’s fastest-growing regions. Enjoy privacy, convenience, and beautiful surroundings, not quite off the grid, but close to nature. Buyer to verify land use and development potential with the City of Wildomar Planning Department. APNs: APN: 361-052-001; 361-052-002; 361-052-003; 361-052-004; 361-052-005; 361-052-006; 361-052-007; 361-052-008; 361-052-009; 361-052-010; 361-052-011; 361-052-012; 361-052-013; 361-052-014; 361-052-015; 361-052-016
; Size Gross: 3.3 Acres; Zoning: RR ; Terrain: Flat to rolling ;
GPS: 33.655524, -117.233763 (West Side Boundry )

Listing Agent

Amir Maloumi

First Team Real Estate Brokerage Phone: 714-818-3667 License #01922541 Listed on: 07/25/2025

First Team Real Estate

Property Details

Property Type

  • Land

Lot Details

  • 3.3 Acre Lot
  • Rural Setting
  • Rectangular Lot
  • 361052002, 361052003, 361052004, 361052005, 361052006, 361052007, 361052008, 361052009, 361052010, 361052011, 361052012, 361052013, 361052014, 361052015, 361052016
  • Property is zoned R-R

Property Views

  • Panoramic
  • Hills
  • Neighborhood

Location

  • Suburban Location

Community Details

  • No Home Owners Association

Listing and Financial Details

  • Assessor Parcel Number 361052001
  • Tax Block 4
  • $37 per year additional tax assessments
  • Seller Considering Concessions

Property Details

Property Type

Land

Lot Details

3.3 Acres

Listing Details

  • Survey: Buyer Pays
  • View: Yes
  • Zoning: R-R
  • Property Type: Land
  • Parcel Number: 361052001
  • AgentOnly_SellerConsiderConcessionYN: Yes
  • Special Features: None
  • Property Sub Type: LotsLands

Interior Features

  • Price Per Square Foot: 1.53

Exterior Features

  • View: Hills, Neighborhood, Panoramic

Condo/Co-op/Association

  • Association: No
  • Senior Community: No
  • Community Features: Rural, Suburban

Lot Info

  • Additional Parcels: No
  • Additional Parcels Description: 361052002, 361052003, 361052004, 361052005, 361052006, 361052007, 361052008, 361052009, 361052010, 361052011, 361052012, 361052013, 361052014, 361052015, 361052016
  • Land Lease: No
  • Lot Features: Lot Over 40000 Sqft, Rectangular Lot
  • Lot Size Sq Ft: 143748.00
  • Lot Size Acres: 3.3000
  • Latitude Manual: 33.65550600

Multi Family

  • Lot Size Area: 3.3000 Acres

Tax Info

  • Tax Block: 4
  • TaxOtherAnnualAssessmentAmount: 37.00

Map

Create a Home Valuation Report for This Property
The Home Valuation Report is an in-depth analysis detailing your home's value as well as a comparison with similar homes in the area

Home Values in the Area

Source: Public Records

Average Home Value in this Area





Source: Public Records

Property History

Date Event Price List to Sale Price per Sq Ft
10/03/2025 10/03/25 Price Changed $220,500 -10.0% --
07/25/2025 07/25/25 For Sale $245,000 -- --
Source: California Regional Multiple Listing Service (CRMLS)

Source: California Regional Multiple Listing Service (CRMLS)

MLS Number: PW25167755

California Regional Multiple Listing Service (CRMLS)
Your Personal Tour Guide

Ask me questions while you tour the home.