$55,000
SOLD MAY 18, 2026

0 E Ave G Unit IV25261830 Lancaster, CA 93535

39.69 Acres
$1,386 Price per Acre
1,729,018 Sq Ft Lot

Sale Details

Date Sold: May 18, 2026

31% Below List Price

122 on Market

Highlights

  • 39.69 Acre Lot
  • No HOA
  • Rectangular Lot
  • Desert View
  • Agricultural

About This Lot

As of May 2026

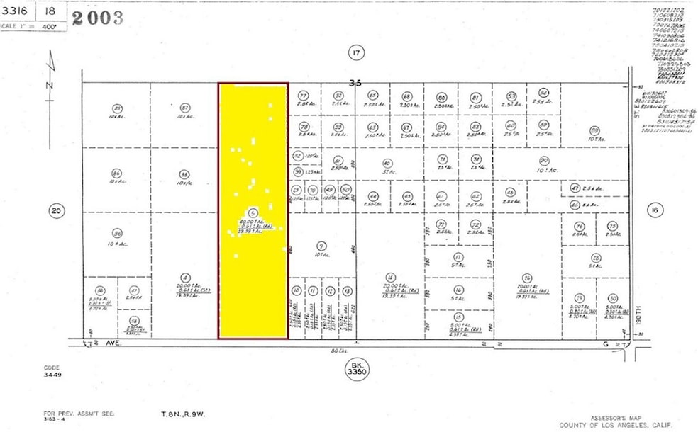
APN: 3316-018-005 Coordinates: 34.735194, -117.804306 39.68 Water and Power Located in Front Of Property Acres for sale in LA County. This lot is located in Lancaster, CA near the intersection of E Ave G and 180th St E. Large parcel zoned LCA11 agricultural use, per county records. Excellent for agricultural use in a rural area. Electric poles are on the street for future hook up.

Last Agent to Sell the Property

NYDIA DEL RIO

HOME & LAND SOURCE Brokerage Phone: 661-400-9778 License #01275496 Listed on: 11/17/2025

Last Buyer's Agent

General NONMEMBER

NONMEMBER MRML

Property Details

Property Type

  • Land

Lot Details

  • 39.69 Acre Lot
  • Rural Setting
  • Rectangular Lot
  • Property is zoned LCA11

Property Views

  • Desert
  • Hills

Additional Features

  • Agricultural
  • Water Not Available

Community Details

  • No Home Owners Association

Listing and Financial Details

  • Tax Lot 35
  • Assessor Parcel Number 3316018005
  • $34 per year additional tax assessments

Property Details

Property Type

Land

Lot Details

39.69 Acres

Listing Details

  • Current Use Comments: Buyers are advised to conduct their own investigations and to satisfy themselves as to the current condition of the property, as well as to check with the appropriate City or County as to Zoning, permitted uses, Location of Parcel, legal access, size of parcel and buildable space, and check if there are any available utilities/services in the area. Property is being sold in its As-Is Current Condition, Buyers are also advised to check with the Department Fish and Wildlife as to any protected Plants Trees or Species. Buyer to verify all information on MLS, Property lines depicted on Photos are just Estimated Buyer to verify. Buyer is also advised to get the property surveyed to identify the exact location of the property lines.
  • View: Yes
  • Zoning: LCA11
  • Property Type: Land
  • Parcel Number: 3316018005
  • Special Features: None
  • Property Sub Type: LotsLands

Interior Features

  • Price Per Square Foot: 0.03

Exterior Features

  • View: Desert, Hills

Utilities

  • Water Source: None

Condo/Co-op/Association

  • Association: No
  • Senior Community: No
  • Community Features: Rural

Lot Info

  • Additional Parcels: No
  • Land Lease: No
  • Lot Features: Rectangular Lot, Agricultural
  • Lot Size Sq Ft: 1729019.00
  • Lot Size Acres: 39.6928
  • Latitude Manual: 34.73566500

Multi Family

  • Lot Size Area: 1729019.0000 Square Feet

Tax Info

  • Tax Lot: 35
  • TaxOtherAnnualAssessmentAmount: 34.00
Create a Home Valuation Report for This Property
The Home Valuation Report is an in-depth analysis detailing your home's value as well as a comparison with similar homes in the area

Property History

Date Event Price List to Sale Price per Sq Ft
05/18/2026 05/18/26 Sold $55,000 -15.4% --
03/19/2026 03/19/26 Pending -- -- --
02/26/2026 02/26/26 Price Changed $65,000 -4.4% --
02/17/2026 02/17/26 Price Changed $68,000 -2.9% --
12/30/2025 12/30/25 Price Changed $70,000 -12.5% --
11/17/2025 11/17/25 For Sale $79,999 -- --
Source: California Regional Multiple Listing Service (CRMLS)

Agents Affiliated with this Home

  • Section Image
See All Agents

Map

Source: California Regional Multiple Listing Service (CRMLS)

MLS Number: IV25261830

California Regional Multiple Listing Service (CRMLS)
Your Personal Tour Guide

Ask me questions while you tour the home.