$54,900
$5K PRICE DROP

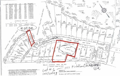
1111 Fiddler Crab Dr Townsend, GA 31331

Estimated payment $344/month

Total Views 2,401
1.98 Acres
$27,727 Price per Acre
86,249 Sq Ft Lot

About This Lot

Come see what makes White Chimney Cove such a sweet hidden gem! Lovely marsh views create an ideal setting for everyday life! The quiet dead-end road is private & peaceful, located just minutes from Shellman Bluff, Sapelo Hammock Golf Club, two full-service marinas & local campgrounds - so you will never run out of things to do! No restrictions (other than no mobile homes) - This 1.98 acre tract is actually TWO parcels (see plat map in pics) - It's Lot #6 + the "pond" (park & well site) - these are owned by the original developer & he will not split them up. He also owns the lot by the Cemetery (1182 Fiddler Crab Dr.) - which is for sale as well. Loads of potential! Wonderful investment opportunity to own a piece of the Georgia Coast! Come see for yourself what makes it so special!

Listing Agent

Mallory Fitzer

Shellman Bluff Realty LLC License #362080 Listed on: 09/29/2025

Property Details

Property Type

  • Land

Lot Details

  • 1.98 Acre Lot
  • Property fronts a county road
  • 0060D 0004002

Utilities

  • Septic Tank

Community Details

  • White Chimney Cove Subdivision

Listing and Financial Details

  • Assessor Parcel Number 0060D 0004

Property Details

Property Type

Land

Lot Details

1.98 Acres

Listing Details

  • Property Sub Type: Residential
  • Prop. Type: Land
  • Lot Size Acres: 1.98
  • Lot Size: ,,,
  • Road Frontage Type: County Road
  • Road Surface Type: Asphalt
  • Subdivision Name: White Chimney Cove
  • Directions: GPS Friendly.
  • Property Sub Type Additional: Residential,Unimproved Land
  • Special Features: VirtualTour

Exterior Features

  • Lot Features: 1 to 5 Acres, Subdivision
  • View: Other

Utilities

  • Sewer: Septic Tank
  • Water Source: Community/Coop

Lot Info

  • Additional Parcels Description: 0060D 0004002
  • Parcel #: 0060D 0004
  • Zoning Description: Residential

Map

Create a Home Valuation Report for This Property
The Home Valuation Report is an in-depth analysis detailing your home's value as well as a comparison with similar homes in the area

Property History

Date Event Price List to Sale Price per Sq Ft
02/03/2026 02/03/26 Price Changed $54,900 -8.3% --
09/29/2025 09/29/25 For Sale $59,900 -- --
Source: Golden Isles Association of REALTORS®

Source: Golden Isles Association of REALTORS®

MLS Number: 1657012

Golden Isles Association of REALTORS®
Your Personal Tour Guide

Ask me questions while you tour the home.