$2,800,000
PENDING

539 Neely Rd Rock Hill, SC 29730

Estimated payment $17,879/month

Total Views 14,555
60 Acres
$46,667 Price per Acre
2,613,600 Sq Ft Lot

About This Lot

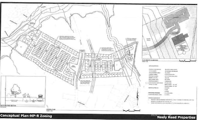
Prime Development Opportunity: 60 Acres of Land for Subdivision!

Discover your chance to create a thriving community in this 60-acre canvas that beckons to be transformed into a thriving community. Located in south Rock Hill, with easy access to schools, shopping, and just 20 miles from Charlotte. The property features a mix of open fields and wooded areas, and recreational facilities, providing endless possibilities for residential development. Less than 1 mile from South Pointe High School and less than 5 miles to interstate I-77.

Imagine a neighborhood of CITY-APPROVED MASTER PLAN of 150 homes, complete with green spaces, club house, pool, and modern infrastructure. Zoning is in place for a subdivision project, making this land a rare gem for seasoned developers looking to make their mark.

Listing Agent

Tony Swainey

Keller Williams Connected Brokerage Email: tswainey@gmail.com License #81871 Listed on: 10/27/2023

Keller Williams Connected

Property Details

Property Type

  • Land

Lot Details

  • Possible uses of the property include Residential
  • Property is zoned MP-R

Community Details

  • No Home Owners Association

Listing and Financial Details

  • Assessor Parcel Number 532-01-01-077

Property Details

Property Type

Land

Listing Details

  • Property Type: Land
  • Property Sub Type: Acreage
  • Habitable Residence Yn: Yes
  • Restrictions: Subdivision
  • Restrictions Description: Subdivision
  • Road Surface Type: Paved
  • Geocode Confidence: High
  • Attribution Contact: tswainey@gmail.com
  • Special Features: None

Interior Features

  • Possible Use: Residential

Garage/Parking

  • Carport Y N: No
  • Open Parking: No

Utilities

  • Sewer: Public Sewer
  • Water Source: City

Condo/Co-op/Association

  • Senior Community: No
  • Association: No

Schools

  • Middle Or Junior School: Unspecified
  • HOA Subject To: None

Lot Info

  • Lot Size Units: Acres
  • Parcel Number: 532-01-01-077
  • Zoning: MP-R
  • Zoning Specification: MP-R

MLS Schools

  • Elementary School: Unspecified
  • High School: Unspecified

Map

Create a Home Valuation Report for This Property
The Home Valuation Report is an in-depth analysis detailing your home's value as well as a comparison with similar homes in the area

Home Values in the Area

Source: Public Records

Average Home Value in this Area





Source: Public Records

Property History

Date Event Price List to Sale Price per Sq Ft
12/05/2023 12/05/23 Pending -- -- --
10/27/2023 10/27/23 For Sale $2,800,000 -- --
Source: Canopy MLS (Canopy Realtor® Association)

Source: Canopy MLS (Canopy Realtor® Association)

MLS Number: 4082697

Canopy MLS (Canopy Realtor® Association)
Your Personal Tour Guide

Ask me questions while you tour the home.