$41,690

6535 71st Ave S Horace, ND 58047

Estimated payment $260/month

Total Views 177
0.13 Acre
$320,692 Price per Acre
5,663 Sq Ft Lot

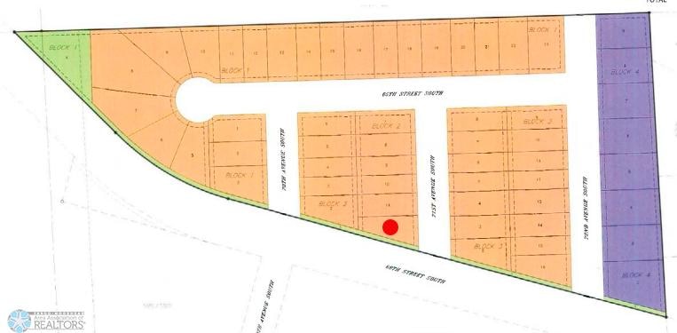
About This Lot

55 lots to choose from!

Listing Agent

Vivian Thingelstad

Dakota Plains Realty Listed on: 04/07/2026

Co-Listing Agent

Darin Milbrath

Dakota Plains Realty

Property Details

Property Type

  • Land

Est. Annual Taxes

  • $468

Lot Details

  • Lot Dimensions are 65.93x130x26.91x135.73
  • Finished Lot(s)

Community Details

  • No Home Owners Association
  • Southdale Farms 6Th Add Subdivision

Listing and Financial Details

  • Assessor Parcel Number 15111900350000

Property Details

Property Type

Land

Est. Annual Taxes

$468

Listing Details

  • Type: Land
  • Development Status: Finished Lot(s)
  • FractionalOwnershipYN: No
  • Improvements: Paved Streets, Public Road
  • Special Features: None
  • Property Sub Type: LotsLands

Interior Features

  • Inclusions: Abstract,Platted
  • Basement YN: No

Utilities

  • Utilities: Electricity Available, Electricity Connected, Natural Gas Available, Natural Gas Connected, Sewer Available, Sewer Connected, Water Available, Water Connected

Condo/Co-op/Association

  • Association: No

Schools

  • Junior High Dist: West Fargo

Lot Info

  • Topography: Level
  • Lot Size: 65.93x130x26.91x135.73
  • Land Lease: No
  • Additional Parcels: No
  • Zoning Description: Residential-Single Family
  • AssessmentPending: Yes
  • Yearly/Seasonal: Yearly
  • All Program Acres: 0

Tax Info

  • Tax Year: 2025
  • Assessor Parcel Number: 15111900350000
  • Tax Annual Amount: 468.29
  • TaxWithAssessments: 944.29

Map

Create a Home Valuation Report for This Property
The Home Valuation Report is an in-depth analysis detailing your home's value as well as a comparison with similar homes in the area

Home Values in the Area

Source: Public Records

Average Home Value in this Area





Source: Public Records

Property History

Date Event Price List to Sale Price per Sq Ft
04/07/2026 04/07/26 For Sale $41,690 -- --
Source: NorthstarMLS

Source: NorthstarMLS

MLS Number: 7050708

NorthstarMLS
Your Personal Tour Guide

Ask me questions while you tour the home.