$39,500

0 E 1060 Rd McLoud, OK 74851

Estimated payment $250/month

Total Views 108,461
2.38 Acres
$16,597 Price per Acre
103,673 Sq Ft Lot

About This Lot

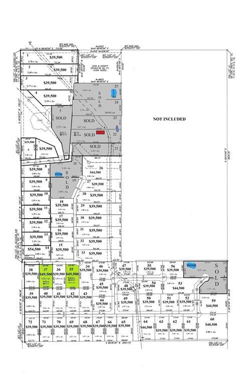
Jacktown Estates, Near Mcloud and Shawnee, Beautiful 2.78 lot just waiting for you new home or mobile. multiple lots are still available. with new roads thru-out. Please refer to photos and addition plat map. Great location just 1.75 miles off Hwy 177 South of Jacktown, Mcloud Schools.

Listing Agent

Carl Martin

Premier Realty LLC License #72633 Listed on: 08/19/2024

Premier Realty LLC

Property Details

Property Type

  • Land

Lot Details

  • 2.38 Acre Lot
  • Finished Lot(s)

Schools

  • Mcloud Elementary School
  • Mcloud JHS Middle School
  • Mcloud High School

Listing and Financial Details

  • Tax Lot 3
  • Assessor Parcel Number 00003112N03E300100

Property Details

Property Type

Land

Lot Details

2.38 Acres

Listing Details

  • Property Type: Land
  • Property Sub Type: Lot
  • Co List Office Mls Id: OKCPREM01
  • Directions: From Hwy 177 and 1060 Roads South of Jacktown. Go 1.75 miles West to start of Addition and 3350 rd
  • Special Features: VirtualTour

Exterior Features

  • Disclosures: Exempt

Schools

  • Elementary School: Mcloud ES
  • Junior High Dist: McLoud
  • High School: Mcloud HS
  • Middle Or Junior School: Mcloud JHS

Lot Info

  • Zoning: Residential
  • Lot Size Sq Ft: 103673

Tax Info

  • Tax Block: 0
  • Tax Lot: 3

Map

Create a Home Valuation Report for This Property
The Home Valuation Report is an in-depth analysis detailing your home's value as well as a comparison with similar homes in the area

Property History

Date Event Price List to Sale Price per Sq Ft
08/19/2024 08/19/24 For Sale $39,500 -- --
Source: MLSOK

About the Listing Agent

Carl Martin

Premier Realty LLC

(405) 784-7866

Section Image

Carl Martin is an expert real estate agent with Premier Realty LLC in Chandler, OK and the nearby area, providing home-buyers and sellers with professional, responsive and attentive real estate services. Want an agent who'll really listen to what you want in a home? Need an agent who knows how to effectively market your home so it sells? Give him a call! Carl is eager to help and he would love to talk to you.

Carl's Other Listings

  • 1506 Windmill Ridge Dr, Shawnee, OK 74804

    $399,900

    • 3 Beds
    • 2.5 Baths
    • 2,509 Sq Ft
    • 1506 Windmill Ridge Dr
    • Shawnee, OK

    Beautiful Home in Windmill Ridge - Welcome to this stunning 2506 sq ft home in the highly sought-after Windmill Ridge neighborhood, featuring 3 bedrooms, 2.5 bathrooms, plus a private study and built in storm shelter. This home offers the perfect balance of comfort, style, and functionality. Enjoy the convenient location near Grove Elementary School with options to nearby middle and high schools.

    Carl Martin Premier Realty LLC

    Section Image
  • 413 E 2nd St, Wellston, OK 74881

    $154,900

    • 4 Beds
    • 1.5 Baths
    • 1,425 Sq Ft
    • 413 E 2nd St
    • Wellston, OK

    Need a Fourth Bedroom? Check out this 1425 sf, 4 bd, 1 and 3/4 bathroom, on large corner lot in Wellston. This could be a perfect family home with a big backyard for the kids, and in walking distance to schools and downtown businesses. Don't miss out on this one

    Carl Martin Premier Realty LLC

    Section Image
  • 0 Summer Ln, Chandler, OK 74834

    $149,900

    • Land
    • 9.5 Acres
    • $15,779 per Acre
    • 0 Summer Ln
    • Chandler, OK

    9.5 Acres Building Location, just at the edge of Chandler lots of timber, large pond, water and sewer available. 1 block South of 15th street and Summer Lane.

    Carl Martin Premier Realty LLC

    Section Image
  • 223 W 4th St, Chandler, OK 74834

    $375,000

    • 4 Beds
    • 3 Baths
    • 2,975 Sq Ft
    • 223 W 4th St
    • Chandler, OK

    4 Bedroom 3 Bathroom Brick Home in Chandler! Welcome home to this spacious 2975 sq ft beautifully located corner lot in the heart of Chandler. With 4 bedrooms, 3 bathrooms , an a layout designed for comfort and functionality, this home offers the space you've been searching for. Enjoy the peace of mind with a new roof, a recently updated heat and air system, and in -home safe room. Step outside

    Carl Martin Premier Realty LLC

    Section Image
  • 115 W 3rd St, Chandler, OK 74834

    $23,000 Pending

    • Land
    • 0.34 Acre
    • $67,647 per Acre
    • 115 W 3rd St
    • Chandler, OK

    Seller's plans for this lot have changed; let this opportunity be yours. Excellent commercial lot at 115 W. 3rd St., Chandler, OK, offering approximately 7,500 square feet and 125 feet of street frontage. Ideal location for a variety of service-based businesses. Perfect opportunity for professional services, retail service providers, automotive-related uses, small office, or specialty business

    Carl Martin Premier Realty LLC

    Section Image
  • 1027 E 1st St, Chandler, OK 74834

    $249,900

    • 3 Beds
    • 2 Baths
    • 1,609 Sq Ft
    • 1027 E 1st St
    • Chandler, OK

    Enjoy the Historic Charm of Route 66 with this great property in Chandler. This well-maintain 1609 sf home features 3 bedrooms, and 2 bathrooms, and sits on 2.3 beautiful acres, offering space privacy, and convenience for all. Step outside and relax on the large covered deck, perfect for grilling, or enjoying peaceful Oklahoma sunsets. The property also includes a shop building, an additional

    Carl Martin Premier Realty LLC

    Section Image
  • 0 E 1st St, Chandler, OK 74834

    $350,000

    • Land
    • 1.31 Acres
    • $267,176 per Acre
    • 0 E 1st St
    • Chandler, OK

    The Next Great Commercial Location in Chandler, 197' road frontage X 291' Deep, on a corner lot next to the new Casey in Chandler. This could be the best location for almost any retail or restaurant business in the county. Don't miss this one it is ready to go!

    Carl Martin Premier Realty LLC

    Section Image
  • 1206 Mitacek Ave, Prague, OK 74864

    $177,500

    • 3 Beds
    • 2 Baths
    • 1,440 Sq Ft
    • 1206 Mitacek Ave
    • Prague, OK

    Newly Remodeled 3 bedroom, 2 bathroom home is Prague Ok. This home has had a complete makeover, with new ac, paint, kitchen cabinets, counter tops, siding, and flooring throughout. This is a very nice on home on a good size lot, is within walking distance to downtown, parks, ballfields, schools. Location Location Location!

    Carl Martin Premier Realty LLC

    Section Image
  • 341872 Hill St, Chandler, OK 74834

    $269,900 Pending

    • 3 Beds
    • 2 Baths
    • 2,197 Sq Ft
    • 341872 Hill St
    • Chandler, OK

    Charming Country Living on 1.38 Wooded Acres. Escape to peace and privacy with this beautiful 3 bedroom, 2 bathroom brick home nestled among mature shade trees, plus a 24x30 metal shop. Enjoy the feel of living in the country, just in view of Chandler lake and golf course and just 1/2 mile from Bell Cow Lake. Great area for active families, easily assessable walking trails, hiking, and

    Carl Martin Premier Realty LLC

    Section Image

Source: MLSOK

MLS Number: 1131007

MLSOK
Your Personal Tour Guide

Ask me questions while you tour the home.