 
            1 Branch Creek Rd Detroit Lakes, MN 56501
Estimated payment $547/month
About This Lot
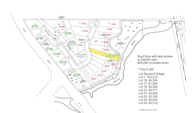
BRANCH CREEK-OFFERING DIRECT ACCESS TO DETROIT LAKE: Ideal location to build what fits your lifestyle. These spacious lots are framed by the Pelican River (offering direct access to Detroit Lake), Dunton Locks Park (now home to one of world famous Thomas Dambo’s giant trolls) and the ever popular paved walking/bike path that meanders along the river to connect Detroit Lake and Sallie. With quick access to downtown Detroit Lakes, enough room to build a matching out building and PAVED roads, nothing can compare to this development. Bring your plans, builder and maybe even a boat! Currently we have boat slips available to purchase for an additional $95,000. Excellent opportunity. Additional lots available
Property Details
Property Type
- Land
Est. Annual Taxes
- $242
Lot Details
- Lake Front
- River Front
- Additional Land
HOA Fees
- $17 Monthly HOA Fees
Community Details
- Association fees include dock
- Branch Creek Association, Phone Number (218) 000-0000
Listing and Financial Details
- Assessor Parcel Number 190845000
Map
Home Values in the Area
Average Home Value in this Area
Property History
| Date | Event | Price | List to Sale | Price per Sq Ft | 
|---|---|---|---|---|
| 07/12/2025 07/12/25 | For Sale | $97,500 | -- | -- | 
About the Listing Agent
 
					
			Year after year, I have been a top producing lakes area real estate agent, earning the Lakes Country Association of Realtors, 2015 Realtor of the Year Award. A native to the area, I have spent over 25 years designing, building and selling homes. My construction background, coupled with my love and knowledge of the lakes, are essential assets for matching clients with their ideal property. Whether it's buying your first home or buying that lake home, I can help. Don't wait.
Lisa's Other Listings
Source: NorthstarMLS
MLS Number: 6754296
 
			- 24 Branch Creek Rd
- Lots 5 & 6 Branch Creek Rd
- 18 Branch Creek Rd
- 21 Branch Creek Rd
- 1540 Us Highway 59
- 25395 County Highway 6
- 1841 Kemberidge Rd
- 1104 W Lake Dr Unit 5
- 15216 E Munson Dr
- 1836 Bridgeview Blvd
- 1084 W Lake Dr
- 248 Shorewood Dr
- Tbd County Highway 6
- 1380 County Highway 6
- 1869 Mccarthy Ln
- 1044 Villa Ln
- 1382 and 1384 County Highway 6
- 1380-1388 (evens) County Highway 6
- 1228 Kenneth St
- 1514 Willard Ave
 
             
                 
                 
                 
                 
                