$805,000
SOLD FEB 6, 2026

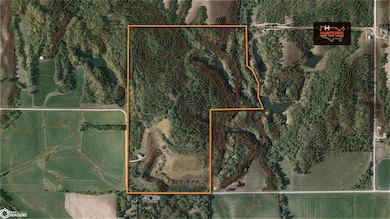
23751 125th St Bloomfield, IA 52537

2 Beds
1 Bath
1,280 Sq Ft
2018 Built

Sale Details

Date Sold: February 6, 2026

$629 Per Sq Ft

5% Below List Price

67 Days on Market

About This Home

As of February 2026

This 100-acre turnkey property in northern Davis County offers the full Southern Iowa outdoor experience — excellent hunting, great fishing, and comfortable accommodations, all ready to enjoy from day one. The property features a recently finished 1,280 sq. ft. cabin with two bedrooms, a bathroom, laundry, pantry, and a spacious open kitchen and living area — perfect for weekends with family or hunting trips with friends. The adjoining steel building offers abundant storage for tractors, side-by-sides, or even a camper, with a large overhead door for easy access. The land itself is designed with both wildlife and recreation in mind. The majority of the farm is timber, offering thick bedding cover created from recent logging that has encouraged excellent undergrowth and sunlight to the forest floor. There are over seven acres of established food plots, strategically placed blinds, and a well-maintained trail system providing access throughout the property. Two freshly planted perennial plots seeded in clover and winter wheat draw deer and turkeys early in the season, while larger plots feature standing soybeans for late-season attraction and green plots near blinds for early and mid-season bow hunting opportunities. Seven ponds are scattered across the property, four of which are a half-acre or larger — including one over three acres. At least three ponds are stocked with bass, crappie, bluegill, walleye, and perch, providing year-round fishing opportunities.

Last Agent to Sell the Property

Ben Harshyne

Whitetail Properties Real Estate, LLC License #*** Listed on: 10/16/2025

Whitetail Properties Real Estate, LLC

Last Buyer's Agent

Ben Harshyne

Whitetail Properties Real Estate, LLC License #*** Listed on: 10/16/2025

Whitetail Properties Real Estate, LLC

Home Details

Home Type

  • Single Family

Year Built

  • Built in 2018

Parking

  • 1

Utilities

  • Forced Air Heating System

Home Details

Home Type

Single Family

Year Built

Built in 2018

Lot Details

0 Sq Ft Lot

Parking

1

Listing Details

  • Property Sub Type: Single Family Residence
  • Year Built: 2018
  • Property Type: Residential
  • Co List Office Mls Id: NOC29443
  • Inclusions: 100± acres in northern Davis County with a mix of timber, food plots, and ponds Turnkey setup with 1,200 sq. ft. finished cabin and attached shop for equipment storage Cabin includes 2 bedrooms, 1 bath, laundry, pantry, and open-concept kitchen/living area Excellent hunting with multiple established food plots and blinds already in place Proven recent history of Boone and Crockett–class bucks harvested on the property Seven ponds across the property and several stocked with bass, crappie, bluegill, walleye, and perch Thick timber and quality bedding cover, creating outstanding whitetail habitat Well-maintained trail system offering easy access to all food plots, ponds, stand locations and areas of the timber
  • Special Features: None

Interior Features

  • Living Area Units: Square Feet
  • Basement: None

Exterior Features

  • Construction Type: Metal Siding

Garage/Parking

  • Parking Features: Attached, Gravel

Utilities

  • Heating: Forced Air
  • Sewer: Septic Tank
  • Cooling: Central Air
  • Water Source: Rural/Municipality

Condo/Co-op/Association

  • Association Name: RLIT

Lot Info

  • Lot Dimensions: 4,356,000 sq ft
  • Lot Size Units: Acres

Tax Info

  • Tax Year: 2024

Ownership History

Date Name Owned For Owner Type

Purchase Details

Listed on
Oct 16, 2025
Closed on
Jan 29, 2026
Sold by
Rak Properties Llc
Bought by
Burbak Llc
Seller's Agent
Ben Harshyne
Whitetail Properties Real Estate, LLC
Buyer's Agent
Ben Harshyne
Whitetail Properties Real Estate, LLC
List Price
$849,000
Sold Price
$805,000
Premium/Discount to List
-$44,000
-5.18%
Views
30

Home Financials for this Owner

Home Financials are based on the most recent Mortgage that was taken out on this home.
Avg. Annual Appreciation
-3.77%
Original Mortgage
$603,750
Outstanding Balance
$603,750
Interest Rate
6.15%
Mortgage Type
Credit Line Revolving
Estimated Equity
$195,093

Purchase Details

Closed on
Mar 6, 2024
Sold by
Platinum Land Group Llc
Bought by
Rak Properties Llc

Purchase Details

Listed on
May 4, 2023
Closed on
Jun 2, 2023
Sold by
Brendes Jamie
Bought by
Platinum Land Group Llc
Seller's Agent
Lincoln Lynch
Lynch Realty Inc
Buyer's Agent
Lincoln Lynch
Lynch Realty Inc
List Price
$700,000
Sold Price
$690,000
Premium/Discount to List
-$10,000
-1.43%

Home Financials for this Owner

Home Financials are based on the most recent Mortgage that was taken out on this home.
Avg. Annual Appreciation
5.33%
Source: Public Records
Create a Home Valuation Report for This Property
The Home Valuation Report is an in-depth analysis detailing your home's value as well as a comparison with similar homes in the area

Purchase History

Date Type Sale Price Title Company
Warranty Deed $805,000 None Listed On Document
Warranty Deed $736,500 None Listed On Document
Warranty Deed $690,000 None Listed On Document
Source: Public Records

Mortgage History

Date Status Loan Amount Loan Type
Open $603,750 Credit Line Revolving
Source: Public Records

Property History

Date Event Price List to Sale Price per Sq Ft Prior Sale
02/06/2026 02/06/26 Sold $805,000 +0.8% $629 / Sq Ft
12/22/2025 12/22/25 Pending -- -- --
12/02/2025 12/02/25 Price Changed $799,000 -5.9% $624 / Sq Ft
10/16/2025 10/16/25 For Sale $849,000 +23.0% $663 / Sq Ft
06/23/2023 06/23/23 Sold $690,000 -1.4% -- View Prior Sale
05/04/2023 05/04/23 Pending -- -- --
05/04/2023 05/04/23 For Sale $700,000 -- --
Source: NoCoast MLS

Tax History

Year Tax Paid Tax Assessment Tax Assessment Total Assessment is a certain percentage of the fair market value that is determined by local assessors to be the total taxable value of land and additions on the property. Land Improvement
2025 $2,798 $231,180 $40,210 $190,970
2024 $2,798 $177,240 $5,010 $172,230
2023 $2,748 $179,550 $5,010 $174,540
2022 $23 $170,260 $4,130 $166,130
2021 $2,336 $139,410 $4,130 $135,280
2020 $3,070 $159,740 $20,770 $138,970
2019 $600 $31,080 $0 $0
2018 $596 $31,080 $25,160 $5,920
2017 $428 $24,310 $0 $0
2016 $406 $24,310 $0 $0
2015 $406 $27,050 $0 $0
2014 $412 $27,050 $0 $0
Source: Public Records

Agents Affiliated with this Home

  • Section Image
  • Section Image
See All Agents

Map

Source: NoCoast MLS

MLS Number: NOC6333306

NoCoast MLS

APN: 009052002

Your Personal Tour Guide

Ask me questions while you tour the home.