$490,297

0000 Prospect Ave Santee, CA 92071

Estimated payment $3,924/month

Total Views 131
-- Bed
-- Bath
-- Sq Ft
-- Price per Sq Ft

About This Home

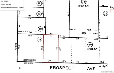
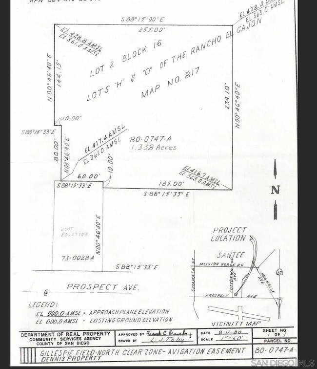
**Prime Commercial Land Opportunity in San Diego County** Discover a rare investment opportunity in San Diego County! We present two commercial parcels, each with a potential high cap rate for land development. The FAA has a preliminary approval approved for storage/equipment parking use on these vacant lots, totaling 1.34 acres. **Key Features:** - Parcel 1 (APN 384-410-76-00): 31,798 sq. ft. - Parcel 2 (APN 3385-410-20-00): 26,571 sq. ft. - FAA Preliminary Approval for Storage Use - Gillespie Field Overlay Zone - Light Industrial Zoning - Triple Net Lease Option: $8,500 for both parcels - Individual Parcel Lease Rates: $3,719 (Parcel 1) and $4,451 (Parcel 2) - Convenient Ingress and Egress on West Side (East May be Availble) **Additional Information:** - The adjacent parcel, grandfathered for two single-family residences, may be available for sale. Call the Agent for details and/or to submit an offer. - Located in the Gillespie Field Compatibility Zone, ensuring strategic development. - Check the Gillespie Community Land Use Plan (Page 32), and Gillespie Field Compatibility Plan (Pages 71-72, 107-112) for detailed zoning insights. **Sales Details:** - Total Sales Price: $ 899,900 - Acreage: 1.34 acres (58,369 sq. ft.) **Important Notes:** - No structures can be built under the Gillespie Community Land Use Plan and avigation easement on this particular property. - Verify all information with the FAA, the County of San Diego, and the city of Santee for approvals.

Listing Agent

AJ George

AJGCRE License #01353648 Listed on: 11/14/2025

Property Details

Property Type

  • Other

Est. Annual Taxes

  • $16,065

Lot Details

  • Lot Dimensions are 225x135
  • Property is zoned IL FAA Z1

Home Design

  • Farm

Property Details

Property Type

Other

Est. Annual Taxes

$16,065

Lot Details

0

Listing Details

  • Property Type: Farm
  • Property Sub Type: Com-Lnd/Rn/Grv
  • Lot Size: 225X135
  • Co List Office Mls Id: 3578
  • Directions: End of the runway at Gillespie Field on Prospect Ave
  • ShortSale: No
  • Special Features: VirtualTour

Interior Features

  • Possible Use: Agriculture, Commercial, Industrial

Lot Info

  • Zoning: IL FAA Z1
  • Current Use: Commercial, Industrial, Recreational, Unimproved

Tax Info

  • Tax Annual Amount: 16065.0

Map

Range of Values:

Collateral Analytics

Collateral Analytics Collateral Analytics AVMs (Automated Valuation Model) employ a number of statistical approaches combined with neighborhood-specific comparable selection guarantees the most up-to-date and precise valuations.

Not Available

Collateral Analytics does not have data for the current month. Please view the chart for historical values.

ICE

ICE Mortgage Technology ICE Mortgage Technology’s AVM (Automated Valuation Model) is a state-of-the-art online residential property valuation tool that provides a quick and accurate estimate of the value of almost any home in the U.S.

Not Available

ICE Mortgage Technology does not have data for the current month. Please view the chart for historical values.

First American

First American First American Data & Analytics’ next-generation AVM combines unrivaled data assets with a blended ensemble of valuation models to produce highly accurate, reliable valuations you can trust.

Not Available

First American does not have data for the current month. Please view the chart for historical values.

Quantarium

Quantarium Quantarium’s valuation service, repeatedly proven the industry’s most accurate and comprehensive, is supercharged with a self-learning and auto-tuning AI engine that continually becomes smarter and more accurate as it processes daily inputs from the industry’s leading RE data lake.

Not Available

Quantarium does not have data for the current month. Please view the chart for historical values.

Average Value
Not Available
List Price
Sold Price
Create a Home Valuation Report for This Property
The Home Valuation Report is an in-depth analysis detailing your home's value as well as a comparison with similar homes in the area

Home Values in the Area

Source: Public Records

Average Home Value in this Area





Source: Public Records

Property History

Date Event Price List to Sale Price per Sq Ft
11/14/2025 11/14/25 For Sale $409,725 -16.4% --
11/14/2025 11/14/25 For Sale $490,297 -- --
Source: San Diego MLS

Source: San Diego MLS

MLS Number: 250044059

San Diego MLS