$148,000
$7K PRICE DROP

Estimated payment $965/month

Total Views 5,319
0.17 Acres
$870,588 Price per Acre
7,405 Sq Ft Lot

About This Lot

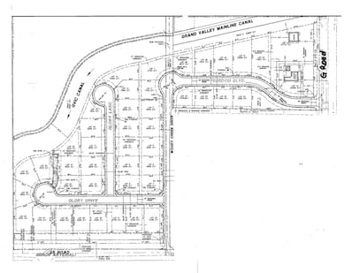
The beautiful new Liberty Ranch Subdivision conveniently located at G 1/8 Road and 25 Road has 42 lots available for sale. Lots range in size from 7,125 square feet to 14,827 square feet and lot prices start at $155,000. Quick access to all of Grand Junction's amenities. Spacious lots ready for you to bring your builder to build the home of your dreams. Minimum 1,800 square foot homes and two car garages. Fencing and landscaping not included in sale price. Property Taxes to be determined. Plat has been recorded with Mesa County. Two members of the selling company are Colorado licensed real estate brokers.

Listing Agent

KARIE PADILLA

CANYON VIEW REALTY & PROPERTY MANAGEMENT Brokerage Phone: 970-270-6128 License #ER100077078 Listed on: 10/31/2025

Co-Listing Agent

ROBERT PADILLA

CANYON VIEW REALTY & PROPERTY MANAGEMENT Brokerage Phone: 970-270-6128 License #FA100101478

Property Details

Property Type

  • Land

Est. Annual Taxes

  • $2,000

Lot Details

  • 7,405 Sq Ft Lot
  • Lot Dimensions are 80x94.1x92.5x80
  • Irregular Lot

HOA Fees

  • $13 Monthly HOA Fees

Schools

  • Appleton Elementary School
  • Redlands Middle School
  • Grand Junction High School

Utilities

  • Septic Tank

Community Details

  • Liberty Ranch Subdivision

Property Details

Property Type

Land

Est. Annual Taxes

$2,000

Lot Details

7,405 Sq Ft Lot

HOA Fees

$13 per month

Listing Details

  • Estimated Irrigation Acres: 0.17
  • Current Use: Residential
  • Elevation: 4597
  • Fronts: E
  • Gas Company: Xcel
  • Irrigation Description: Through HOA
  • Irrig District: Grand Valley Irrigat
  • Irrig Water: Yes
  • Lot Dimensions: 80x94.1x92.5x80
  • Lvt Date: 10/31/2025
  • Property Type: Land
  • Real Estate Incl: Yes
  • Sewer: Sewer Available
  • Sewer Company: City Of Gj
  • Street Desc Access: City/Town, Common/Shared, Paved
  • Taxes: 2000
  • Tax Year: 2025
  • Total Acres: 0.17
  • Type: Single Family 0-9.99 Acre
  • Water: Community System
  • Zoning: Residential
  • Display On Internet: Yes
  • Curbs Gutters: Curbs In, Gutters In
  • Possible Use: Single Family
  • Directions: Located off of 25 Road and Woody Creek Drive (G 1/8 Rd). Entrances from 25 Road east onto Woody Creek Drive and off of G Road north onto Freedom Boulevard.
  • Subdivision Name: Liberty Ranch
  • Special Features: None
  • Property Sub Type: LotsLands

Utilities

  • Electric Company: Grand Valley Power
  • Water Company: Ute Water

Schools

  • Elementary School: Appleton
  • High School: Grand Junction

Lot Info

  • Lot Description: 75' - 100' Frontage, Irregular Lot
  • Lot Size: A: 0-0.24
  • Lot: 35
  • Geo Match Code: 3

MLS Schools

  • Middle School: Redlands

Map

Create a Home Valuation Report for This Property
The Home Valuation Report is an in-depth analysis detailing your home's value as well as a comparison with similar homes in the area

Home Values in the Area

Source: Public Records

Average Home Value in this Area





Source: Public Records

Property History

Date Event Price List to Sale Price per Sq Ft
03/26/2026 03/26/26 Price Changed $148,000 -4.5% --
10/31/2025 10/31/25 For Sale $155,000 -- --
Source: Grand Junction Area REALTOR® Association

Source: Grand Junction Area REALTOR® Association

MLS Number: 20255173

Grand Junction Area REALTOR® Association
Your Personal Tour Guide

Ask me questions while you tour the home.