$150,000

Estimated payment $833/month

Total Views 19,994
0.06 Acre
$2,500,000 Price per Acre
2,614 Sq Ft Lot

About This Lot

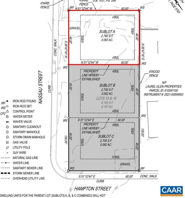
Simply apply for building permits and start construction. A turn-key setup for builders, investors, or developers seeking efficiency and value! 803 Nassau St offers a prime opportunity in the City of Charlottesville with approvals already in place. Benefits include: Already subdivided with recorded survey, Site Plans by Cardinal Civil Resources valid for 5 years fully approved by the City of Charlottesville, full Architectural & MEP building plans plus concept renderings for 3 detached single family 2-story homes, each with 4-bedrooms, 3.5 baths, and 1872 SF by Wassenaar Winkler Architects. Lots have been cleared, silt fence is up, and access gravel driveways installed. Even better?existing water and sewer taps are already in place on this property, saving thousands in costs and time. Drone tour available. This offering is for 803 Nassau St, yet if you prefer, acquire all three side-by-side buildable lots as a package.

Listing Agent

Jessica Sample

(410) 913-8800 info@jessiesample.com EXP REALTY LLC - STAFFORD License #0225254612[104229] Listed on: 06/19/2025

EXP REALTY LLC - STAFFORD

Property Details

Property Type

  • Land

Est. Annual Taxes

  • $555

Lot Details

  • 2,614 Sq Ft Lot

Schools

  • Charlottesville High School

Community Details

  • No Home Owners Association
  • Belmont Subdivision

Property Details

Property Type

Land

Est. Annual Taxes

$555

Lot Details

0

Listing Details

  • Property Type: Land
  • Special Features: VirtualTour
  • Property Sub Type: LotsLands

Interior Features

  • Fireplace: No
  • Price Per Sq Ft: 2500000.00

Exterior Features

  • Construction Completed: No
  • Water Oriented: No
  • Water View: No

Garage/Parking

  • Garage: No

Utilities

  • Central Air Conditioning: No
  • Cooling: No
  • Sewer/Septic System: Public Sewer
  • Water Source: Public
  • Internet Services: Cable, Other

Condo/Co-op/Association

  • Condo Co-Op Association: No
  • HOA: No

Schools

  • High School Source: Listing Agent
  • School District Source: Listing Agent
  • High School: CHARLOTTESVILLE

Lot Info

  • Lot Size Acres: 0.06

Rental Info

  • Vacation Rental: No

Tax Info

  • Tax Annual Amount: 555.00
  • Tax Year: 2025

MLS Schools

  • School District Name: CHARLOTTESVILLE CITY PUBLIC SCHOOLS

Map

Range of Values:

--
Value Increase
--
Percent Increase
--
Adjusted for Inflation
Collateral Analytics

Collateral Analytics Collateral Analytics AVMs (Automated Valuation Model) employ a number of statistical approaches combined with neighborhood-specific comparable selection guarantees the most up-to-date and precise valuations.

Not Available

Collateral Analytics does not have data for the current month. Please view the chart for historical values.

ICE

ICE Mortgage Technology ICE Mortgage Technology’s AVM (Automated Valuation Model) is a state-of-the-art online residential property valuation tool that provides a quick and accurate estimate of the value of almost any home in the U.S.

Not Available

ICE Mortgage Technology does not have data for the current month. Please view the chart for historical values.

First American

First American First American Data & Analytics’ next-generation AVM combines unrivaled data assets with a blended ensemble of valuation models to produce highly accurate, reliable valuations you can trust.

Not Available

First American does not have data for the current month. Please view the chart for historical values.

Quantarium

Quantarium Quantarium’s valuation service, repeatedly proven the industry’s most accurate and comprehensive, is supercharged with a self-learning and auto-tuning AI engine that continually becomes smarter and more accurate as it processes daily inputs from the industry’s leading RE data lake.

Not Available

Quantarium does not have data for the current month. Please view the chart for historical values.

Average Value
Not Available
List Price
Sold Price
Create a Home Valuation Report for This Property
The Home Valuation Report is an in-depth analysis detailing your home's value as well as a comparison with similar homes in the area

Home Values in the Area

Source: Public Records

Average Home Value in this Area





Source: Public Records

Property History

Date Event Price List to Sale Price per Sq Ft
12/08/2025 12/08/25 For Sale $150,000 0.0% --
11/07/2025 11/07/25 Off Market $150,000 -- --
06/19/2025 06/19/25 For Sale $150,000 -- --
Source: Bright MLS

Source: Bright MLS

MLS Number: 665973

Bright MLS