NOT LISTED FOR SALE
0.25 Acre
-- Price per Acre
10,890 Sq Ft Lot

Sale Details

Date Sold: December 2, 2025

Last sale price $630,000

18 Days on Market

About This Lot

As of December 2025

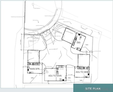
The Subject Offering is a 10,891 SF lot in Oceanside, CA. The site is suitable for several development options: Option 1: Traditional single-family home with sprawling yard and room for a pool and other amenities. Option 2: Four (4) detached units on one lot; two main structures (Apx. 1,336 SF each) plus 2 ADUs (Apx. 1,200 SF each) through the use of SB 9 (conceptual site plan upon request). Option 3: Through SB 1123 up to 10 lots (likely 4) with ministerial approval that are separately saleable. Boundary, topo, geotech, title, and conceptual site plans upon request.

Last Agent to Sell the Property

David Santistevan

David Santistevan License #00913491 Listed on: 09/25/2025

Last Buyer's Agent

Cyd Panaccione

Brush Realty License #01951659

Brush Realty

Property Details

Property Type

  • Land

Additional Features

  • Partially Fenced Property
  • Underground Utilities

Community Details

  • Oceanside Subdivision

Property Details

Property Type

Land

Listing Details

  • Property Type: Land
  • Property Sub Type: Lots/Land
  • Frontage: N/K
  • Co List Office Mls Id: 5244
  • Subdivision Name: OCEANSIDE
  • FeedTypes: IDX
  • RFModificationTimestamp: 2025-12-09T22:52:35Z
  • AgeRestrictions: N/K
  • FullAddress: 216 Pajama 000
  • ShortSale: No
  • Special Features: VirtualTour

Exterior Features

  • Fencing: Partial
  • View: N/K

Utilities

  • Utilities: Below Ground
  • Water Source: Available
Create a Home Valuation Report for This Property
The Home Valuation Report is an in-depth analysis detailing your home's value as well as a comparison with similar homes in the area

Home Values in the Area

Source: Public Records

Average Home Value in this Area





Source: Public Records

Property History

Date Event Price List to Sale Price per Sq Ft
12/02/2025 12/02/25 Sold $630,000 -10.0% --
10/13/2025 10/13/25 Pending -- -- --
09/25/2025 09/25/25 For Sale $700,000 -- --
Source: San Diego MLS

Agents Affiliated with this Home

  • Section Image
  • Section Image
See All Agents

Map

Source: San Diego MLS

MLS Number: 250039903

San Diego MLS
Your Personal Tour Guide

Ask me questions while you tour the home.